Fotos
Informações
Contato

Início > Vendas > CURITIBA > TERRENO/ÁREA > AR0041-BELL

TERRENO/ÁREA em CURITIBA - Referência: AR0041-BELL

(referência.: AR0041-BELL)

9.497,00 m²
R$ 16.800.000,00
Simular financiamento   Contato via Whatsapp  

Descrição

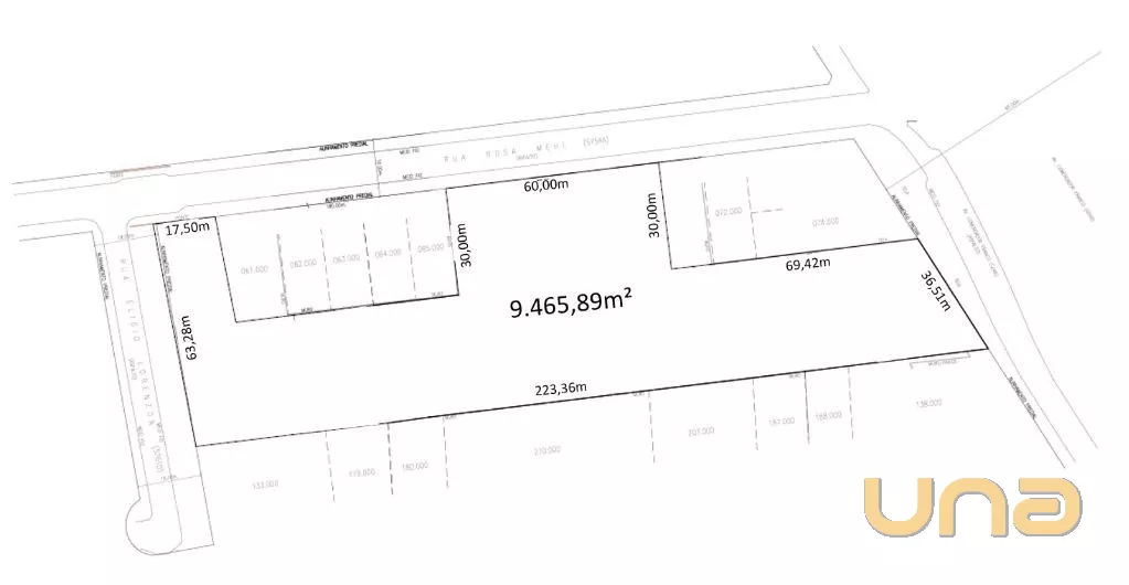
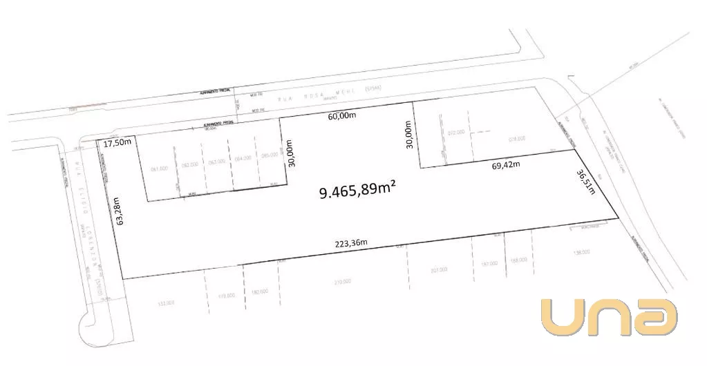
ÁREA COMERCIAL COM 9.497m² NA AV. COMENDADOR FRANCO (AV. DAS TORRES), Nº 6.416 REGIÃO UBERABA. Uma das maiores frentes disponíveis na Avenida das Torres, com localização estratégica e grande potencial de valorização. Situada entre a Fiat Barigui e o novo Shopping Flow, empreendimento Open Mall com 30.000m², ancorado pelo Max Atacadista, que será referência na região. Destaques da localização: Frente direta para a Av. Comendador Franco (Av. das Torres), um dos principais eixos de ligação de Curitiba Praticamente em frente ao Condor Acesso também pela Rua Rosa Mehl, importante via de ligação com a Av. Salgado Filho Região em forte expansão, com comércio consolidado e residências de alto padrão Características do imóvel: Área total: 9.497m² (7 lotes contíguos, vendidos apenas em conjunto) Zoneamento: EACF Eixo de Adensamento Av. Comendador Franco Frente para a Av. das Torres, ideal para uso comercial Parte interna com vocação para residencial Indicações fiscais: 88.226.075 5.342m² Av. Comendador Franco 88.226.132 2.355m² Rua Rosa Mehl 88.226.066 360m² Rua Rosa Mehl 88.226.067 360m² Rua Rosa Mehl 88.226.068 360m² Rua Rosa Mehl 88.226.069 360m² Rua Rosa Mehl 88.226.070 360m² Rua Rosa Mehl Total: 9.497m² Valor de Venda: R$ 16.800.000,00 (estuda-se permuta como parte de pagamento) Endereço: Av. Comendador Franco, nº 6416 Uberaba Curitiba/PR

Detalhes do Imóvel

ReferênciaAR0041-BELL
BairroUberaba
MunicípioCURITIBA
UFPR
Área total9.497,00 m²
Tipo de usoresidencial
Valor totalR$ 16.800.000,00


Entre em contato


Compartilhe este imóvel


Avenida Republica Argentina, 2219 - Portão - Curitiba - PR - Ver no Mapa

CRECI 643-J

Instagram
Sites para imobiliárias

Atendimento WhatsApp

Pergunte, solicite informações ou reclame.
Pode elogiar também!