Fotos
Informações
Contato

Início > Vendas > CAMPO LARGO > FAZENDA/CHÁCARA > FA0033-MOT

FAZENDA/CHÁCARA em CAMPO LARGO - Referência: FA0033-MOT

(referência.: FA0033-MOT)

3 Dorm(s)
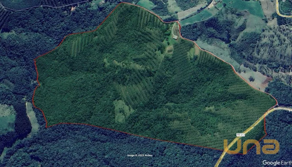
760.000,00 m²
6 Vaga(s)
R$ 2.500.000,00
Simular financiamento   Contato via Whatsapp  

Descrição

Fazenda a venda Campo largo com 76 hectares, com casa sede, barracão, formada em pastagem e eucaliptos. Características principais: Casa sede com aproximadamente 140,00m2 com 3 quartos sendo uma suíte, 2 salas, cozinha, varanda, garagem e churrasqueira construída em lagar estratégico para apreciar uma vista deslumbrante. Barracão em alvenaria com 250,00m2 + abrigo, para guardar tratores e implementos e demais uso para dia dia da fazenda. Casa de caseiro com + /- 80,m2 com 2 quartos e madeira. Mangueiro para gado com balança e tronco. Com um bom sistema de abastecimento de água com nascentes próprias com três caixas sendo duas com 5.000 litros, e uma com 10.000 litro d` água que distribuem para propriedade. Propriedade toda cercada e formada em pastagem, com vario piquetes, reserva legal e plantio de eucaliptos que está faze de rebrota.

Detalhes do Imóvel

ReferênciaFA0033-MOT
BairroCampo Largo
MunicípioCAMPO LARGO
UFPR
Área total760.000,00 m²
Área privativa500,00 m²
Tipo de usoresidencial
Dormitórios3
Suítes1
Vagas de Garagens6
Valor totalR$ 2.500.000,00


Entre em contato


Compartilhe este imóvel


Avenida Republica Argentina, 2219 - Portão - Curitiba - PR - Ver no Mapa

CRECI 643-J

Instagram
Sites para imobiliárias

Atendimento WhatsApp

Pergunte, solicite informações ou reclame.
Pode elogiar também!